David Campbell / D.C. & Associates Realty

1802 11 Street SE, Land for sale in Ramsay Calgary , Alberta , T2G 3E8

 MLS® # A2278533

0 bathrooms

Sign up to View

Days on Market

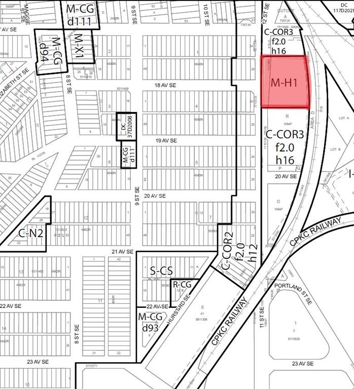
Directly across from the future Inglewood/Ramsay LRT Station and represents a rare, large-scale, transit-oriented development opportunity within Calgary’s historic and rapidly evolving Ramsay / Inglewood district. Few inner-city sites offer this combination of immediate LRT adjacency, scale, frontage, and proximity to downtown. The property comprises a single, contiguous parcel of approximately 59,723 square feet, fully serviced, level, and regularly configured, with direct exposure and access along 11 S...

Read More

Essential Information

  • MLS® #
    A2278533
  • Property Type
    Residential Land
  • MLS® #
    A2278533
  • Property Type
    Residential Land
  • MLS® #
    A2278533
  • Property Type
    Residential Land

Community Information

  • Postal Code
    T2G 3E8
  • Postal Code
    T2G 3E8
  • Postal Code
    T2G 3E8

Additional Details

  • Zoning
    M-H1
  • Zoning
    M-H1
  • Zoning
    M-H1

$6,785,000

1802 11 Street SE

Schedule Tour
Contact Agent

$30898/month
Est. Monthly Payment
$
$
%
Learn More